Taiwanul s-a pregătit pentru sosirea taifunului Gaemi: piețele financiare au fost închise, oamenii și-au luat liber de la muncă, zborurile au fost anulate, iar armata a fost pusă în stare de alertă în contextul prognozelor de ploi torențiale și vânturi puternice, transmite Reuters.
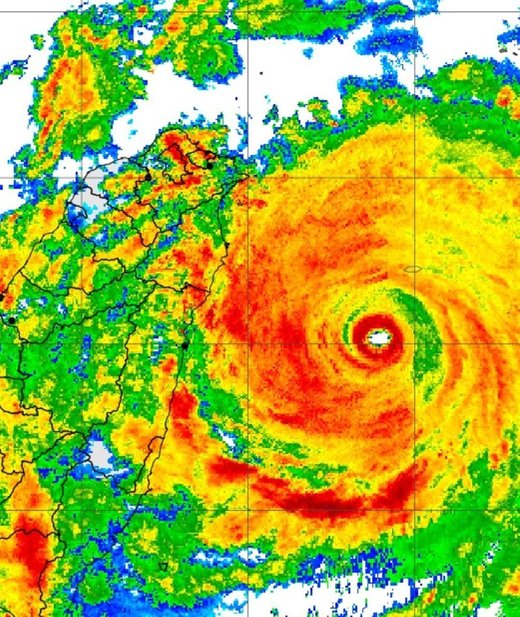
Potrivit Administrației meteorologice centrale a insulei, Gaemi, primul taifun din acest sezon care afectează Taiwanul, este așteptat să atingă coasta de nord-est miercuri, la începutul serii, scrie News.ro.
 
 Clasificat în prezent ca taifun de forță medie de către Taiwan, este probabil să traverseze Strâmtoarea Taiwan și să lovească provincia Fujian din sud-estul Chinei vineri după-amiază târziu.
În comitatul rural Yilan, unde taifunul va lovi mai întâi, vântul și ploaia au prins putere, închizând restaurantele de mic dejun, iar drumurile s-au golit în mare parte.
”Acesta ar putea fi cel mai mare taifun din ultimii ani”, a declarat pentru Reuters căpitanul unei bărci de pescuit Hung Chun, adăugând că portul Suao din Yilan era plin de bărci care căutau adăpost.
”Se îndreaptă direct spre coasta de est și, dacă va ajunge aici, pagubele vor fi enorme”, a adăugat sursa citată.
Cursurile în școli au fost suspendate, majoritatea oamenilor și-au luat liber de la muncă, iar străzile capitalei Taipei sunt aproape pustii în timpul orei de vârf, pe fondul ploii torențiale.
 
 Ministerul Transporturilor a declarat că aproape toate zborurile interne au fost anulate, împreună cu 201 zboruri internaționale. Toate operațiunile feroviare se vor opri de la prânz (0400GMT), dar serviciile feroviare de mare viteză care leagă nordul și sudul Taiwanului vor continua să funcționeze.
Cu toate acestea, TSMC, cel mai mare producător contractual de cipuri din lume și un furnizor important pentru Apple, a declarat că se așteaptă ca fabricile sale să mențină producția normală în timpul taifunului, adăugând că a activat procedurile de pregătire de rutină.
SOLDAȚI ÎN AȘTEPTARE
Unele comitate muntoase din centrul și sudul Taiwanului sunt așteptate să înregistreze precipitații totale de până la 1.800 mm în timpul taifunului, a declarat Administrația meteorologică.
Peste 2.000 de persoane au fost evacuate din zonele montane slab populate care sunt expuse unui risc ridicat de alunecări de teren din cauza ploilor torențiale.
Ministerul taiwanez al Apărării a declarat că este pregătit să acorde asistență în caz de dezastru și a pus la dispoziție 29.000 de soldați.
În timp ce taifunul a restrâns drastic jocurile de război anuale Han Kuang din acest an, acestea nu au fost anulate, exercițiile cu foc real având loc miercuri dimineață, conform programului, pe insulele Penghu din Strâmtoarea Taiwan.
Se preconizează că taifunul va ajunge în Fujian (China) joi târziu.
Gaemi, cu un sistem noros care acoperă Pacificul de Vest, nordul Filipinelor și părți ale Mării Chinei de Sud, este așteptat apoi să se întoarcă spre nord, aducând ploi în provincii precum Hubei, Henan și chiar Hebei.
 
 Gaemi va începe să își piardă din putere și structură pe măsură ce se deplasează deasupra uscatului, însă rămășițele sale ar putea aduce încă zile întregi de precipitații în provinciile din nordul Chinei, care în urmă cu doar un an au fost lovite de ploi istorice din cauza unui taifun și au suferit pierderi economice record.
Gaemi și un muson de sud-vest au adus ploi abundente miercuri în regiunea capitalei filipineze și în provinciile nordice, determinând autoritățile să întrerupă lucrul și cursurile, în timp ce tranzacțiile bursiere și valutare au fost suspendate.
Deși taifunurile pot fi extrem de distructive, Taiwanul se bazează, de asemenea, pe ele pentru a umple rezervoarele după lunile de iarnă tradițional mai uscate, în special pentru partea de sud a insulei.


















 
															 																											 
															 																											 
															 														 
															 																											 
															 																											 
										
																											 
										
																											 
										
																											 
										
																											 
										
																											 
										
																											 
										
																											 
										
																											 
					 
			 
			 
			 
			 
			 
			 
			 
			 
			 
			 
			 
			 
			 
			 
			 
			